Resposta Nº 62 ao Ofício Certidão Nº 69/2025
Tipo: CERTIDÃO
Data: 11/11/2025
Protocolo: 15191/2025
Situação: DENOMINÁVEL
Autoria: Marcos Roberto Martins Arruda
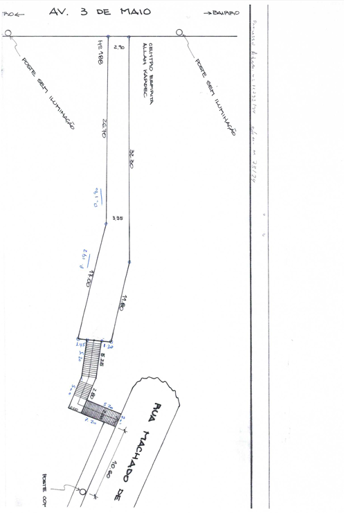
Assunto: Resposta ao Ofício Certidão Nº 69/2025 - Solicita CERTIDÃO de viela à esquerda da Sociedade Espírita Allan Kardec, no bairro Pq. IX de Julho
| Tipo | Descrição | Extensão | Data | Tamanho |
|---|---|---|---|---|
| 62-2025 (OC 69-2025) | 12/11/2025 | 94,9 KB | ||
| Despacho | 12/11/2025 | 81,3 KB | ||
| Viela_3_de_Maio - croqui | .png | 12/11/2025 | 149,4 KB |
| Documento | Data | Assunto | Arquivos |
|---|---|---|---|
| Projeto de Lei Nº 132/2025 | 02/12/2025 |
Dá denominação de "Viela Martinho Henrique da Costa" a via localizada no Centro
Autoria: Marcos Roberto Martins Arruda |
| Documento | Data | Assunto | Arquivos |
|---|---|---|---|
| Ofício Certidão Nº 69/2025 | 09/09/2025 | Solicita CERTIDÃO de viela à esquerda da Sociedade Espírita Allan Kardec, no bairro Pq. IX de Julho |
